MENU
釣果情報
最新記事
フィールドレポート
ショップINFO
イベント
オンラインショップ
オリジナル
FISHERS TV
人気のターゲット
ルアー ソルト ウォーター
海釣り
船釣り/オフショア
シーバス
アジング
投げ釣り
磯釣り
ワカサギ
エリア
注目のキーワード
ロッド&リール
ルアー
周辺グッズ
セール
大会/ダービー
釣り教室
インストアイベント
フィッシングショー
店舗から選ぶ
黒埼店
竹尾I.C店
村上店
上越店
富山店
金沢店
福井店
企画・開発
TOP
>
ショップ INFO
> 「本日よりハッピーフィッシング再開!」
SHOP INFO
ショップ INFO
本日よりハッピーフィッシング再開!
本日より、 ハッピーフィッシング(新潟東港第二東防波堤、直江津港第三東防波堤)の 営業再開いたしました。 ご利用にあたりまして、注意事項がありますので、事前にホームページなどでご確認ください。
2020.06.01
上越店北上
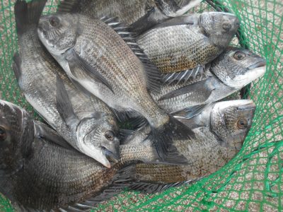
直江津港第三東防波堤の午前の釣果
再オープン初日からビックフィッシュ!
直江津ハッピーフィッシング名物のカゴ釣りです。
他、クロダイ。
こちらもかなり釣れているみたいです。
アジは30cmの良型は釣れるみたいですが、数釣りは厳しいみたいです。
フリーワード
人気のターゲット
ルアー ソルト ウォーター
海釣り
船釣り/オフショア
シーバス
アジング
投げ釣り
磯釣り
ワカサギ
エリア
注目のキーワード
ロッド&リール
ルアー
周辺グッズ
セール
大会/ダービー
釣り教室
インストアイベント
フィッシングショー
店舗から選ぶ
黒埼店
竹尾I.C店
村上店
上越店
富山店
金沢店
福井店
企画・開発