☆ハッピーフィッシング直江津
今季最後の営業は10月31日です。
お間違えない様にお願い致します。
詳しくはハッピーフィッシング直江津のHPご確認ください
ハッピーフィッシング直江津
相変わらず色々な魚が釣れています!
(大アジ こちらもまだまだ釣れています。遠投サビキ釣り&カゴ釣り アジングで狙ってみてください)

(サバとイナダの写真 ルアー ショアジギングでも狙えます。)
(カゴ釣りでマダイの釣果です)
☆サーフフィッシング&糸魚川方面
各サーフでは青物(ワカシ)の回遊があり
水温が下がればイナダサイズも回遊してきそうです
☆関川ちょい投げ五目釣り(ハゼ)
ファミリー&初心者おすすめ!ハゼの他に色々な魚が釣れますよ~
10月いっぱいは釣果があります
(

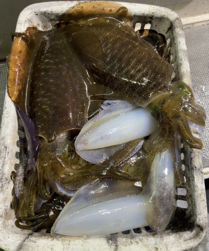
24日お客様より持ち込みがありました。23日夕方からやって朝まで19杯!糸魚川での釣果です。エギ王K3.5カクテルオレンジなど
エギングセール開催中!! 11月3日までエギやロッドがお買い得となっております。

又、今日からダイワのスピードくじもはじまりました。
くじがなくなり次第終了になります。
24日、25日はオールナイト営業となっております。皆様のご来店をお待ちしております。

グリーンフィッシャーズ】釣具の中古買取/販売サービス
中古買取・販売中
皆様の使わなくなった釣具や
今お使いで、新しい物に買い替えを
検討の釣具をお売りください。
査定は無料ですので、お気軽にスタッフまで(*^_^*)

釣果情報や話題の商品入荷情報は下記のインスタグラムよりご確認ください
上越店のInstagramはこちら。
釣行前の準備 釣行後の補充は
是非 フィッシャーズ上越をご利用ください
釣果情報を頂いたお客様 船宿様
今週もありがとうございました。
*冷凍エサの解凍予約は随時 お電話にて
受付けております。
TEL 025-545-2228
お間違えない様にお願い致します。
*詳しいポイントや釣り方など分からない事は
スタッフまでお気軽にお声掛けください
皆さんのご来店心よりお待ちしております